Meet Glacē™
The Next-Level Facial by Candela
Combining microdermabrasion with hydro-infusion of naturally-derived serums, dual-mode cupping, and a calming finishing experience, Glacē™ delivers a repeatable experience patients come back for.
HOW IT WORKS:
Cleanse & Refine
Gently exfoliates and clears pores to smooth and refresh the skin
Sculpt & Detox
Dual-mode cupping helps contour, support fluid flow, and reduce visible puffiness
Hydrate & Restore
Infuses skin with targeted serums to deeply hydrate, nourish, and boost radiance
Calm & Finish
A soothing mask, paired with LED therapy or skin-renewal wands, brings the treatment to a relaxing close

Hydro
Water-powered
6 Serums
Targeted
Multi-Pass
Customizable
Diamond-Integrated Tips
Single-Use
30 Min
Per session
All Skin
I-VI safe
6 KEY DIFFERENTIATORS
Why Glacē™ Stands Apart
Six reasons providers are choosing Glacē™ as their go-to facial system
The Next-Level Facial Experience
A multi-step skin ritual that goes beyond a standard facial to cleanse, sculpt, hydrate, and calm in one seamless treatment.
Multi-Use Model
Offer Glacē™ as a standalone facial or use it before, after, or between energy-based treatments to support skin health and enhance the patient journey.
Predictable Profitability
A focused consumables model helps keep inventory manageable and treatment costs easier to plan.
Personalized with Targeted Serums
Six targeted serums allow providers to tailor treatments to different skin needs, from clarifying and calming to brightening and hydrating.
Smart Inventory. Better Margins.
With only six serums and four exfoliation tips, Glacē™ simplifies ordering and inventory management.
Built for Repeat Visits
Designed as a repeatable treatment patients can return to regularly, supporting retention, memberships, and ongoing engagement.
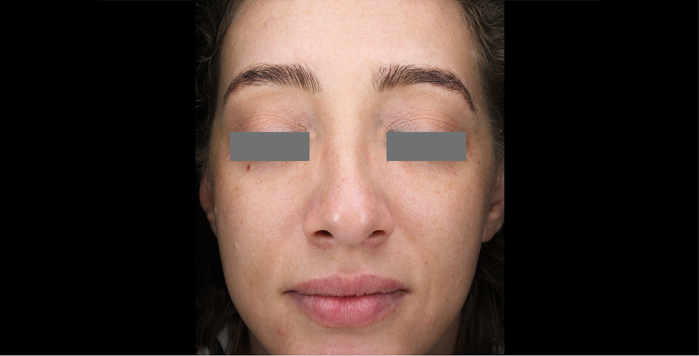
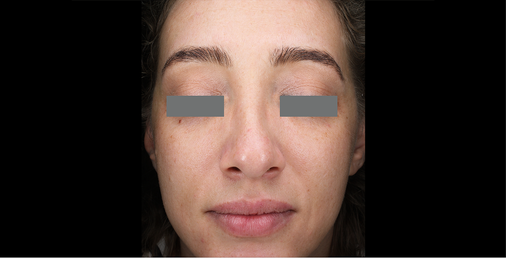
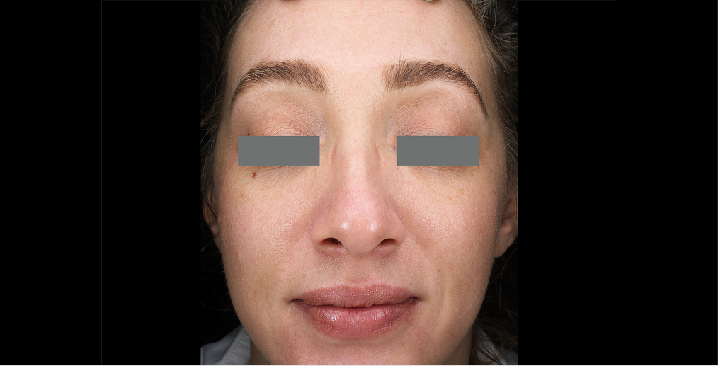
BEFORE & AFTER RESULTS
Real Results, Single Treatment
Drag the slider to compare before and after a Glacē™ treatment.
Proprietary Serums
Each serum is specifically formulated for the Glacē™ system. Select the right combination based on your patient's skin type and treatment goals.

Balanced Flight Pore Equilibration Complex
Reduces shine, refines pores, and smooths uneven texture

Vitality Blossom Vitamin Shield Complex
Enhances radiance and revives dull, tired-looking skin

Silky Touch Sensitivity Relief Complex
Calms visible redness and relieves signs of irritation

Light Emerge Tone Unifying Complex
Improves the look of dark spots and uneven skin tone

Total Evolve Chrono Repair Complex
Boosts hydration, smooths texture, and improves the look of fine lines

Mineral Nurture Essential Antistress Complex
Replenishes moisture, comforts stressed skin, and restores a healthy-looking glow

Skin Eclosion Multi-Active Peeling
Prepares the skin for the application of derm-aesthetic treatments.

Pure Freedom Deep Purifying Foam
Purifies and balances the skin, freeing it of impurities and pollution particles.

Crysalid Soothing Biomask
A repairing mask formulated to smooth and hydrate skin
The Glacē™ Difference*
See how Glacē™ stacks up against other facial systems across key features, treatment workflow, and overall value—so you can quickly understand what makes it different.
| FEATURE | Glacē™ System | Hydrafacial | DiamondGlow |
|---|---|---|---|
| Diamond-Integrated Single-Use Tips | |||
| No Required Tip Sterilization Between Treatments | |||
| Core Serum Offerings | 6 | 3 | 6 |
| Single-Use Core Serums | |||
| Simultaneous Dual-Cupping | |||
| Integrated Consumable Storage Drawer |
* Competitor data based on publicly available specifications and average market pricing. Actual values may vary.
Candela Success Center
Customer Success Stories
More Than a Device. A Partner in Your Success.
Glacē™ ROI Calculator
Model your exact practice scenario — device cost, patient volume, treatment pricing, and consumables — to see your real payoff timeline and annual ROI.
*All calculations are in USD.
Your Results
Monthly Breakdown
Cumulative Profit vs. Device Cost
See Glacē™ Before You Buy
Schedule a personalized demo to experience Glacē™ for yourself. Fill out the form for an in-person or virtual demo.
DEMO REQUEST FORM
Schedule Your Demo
READY TO TRANSFORM YOUR PRACTICE?
Order Glacē™
Ready to elevate your treatment menu? With flexible financing options, adding Glacē™ to your practice has never been easier. Explore packages and find the right fit for your business.






